Palakhedi holds the position in the city for overall livability.
 
            100% Service, 0% Brokerage
Highly unlikely, but if you find a lower price anywhere, tell us and we will match it.
Our sales personnel are accountable for every step
| Unit Type (Saleable) | Price* | |
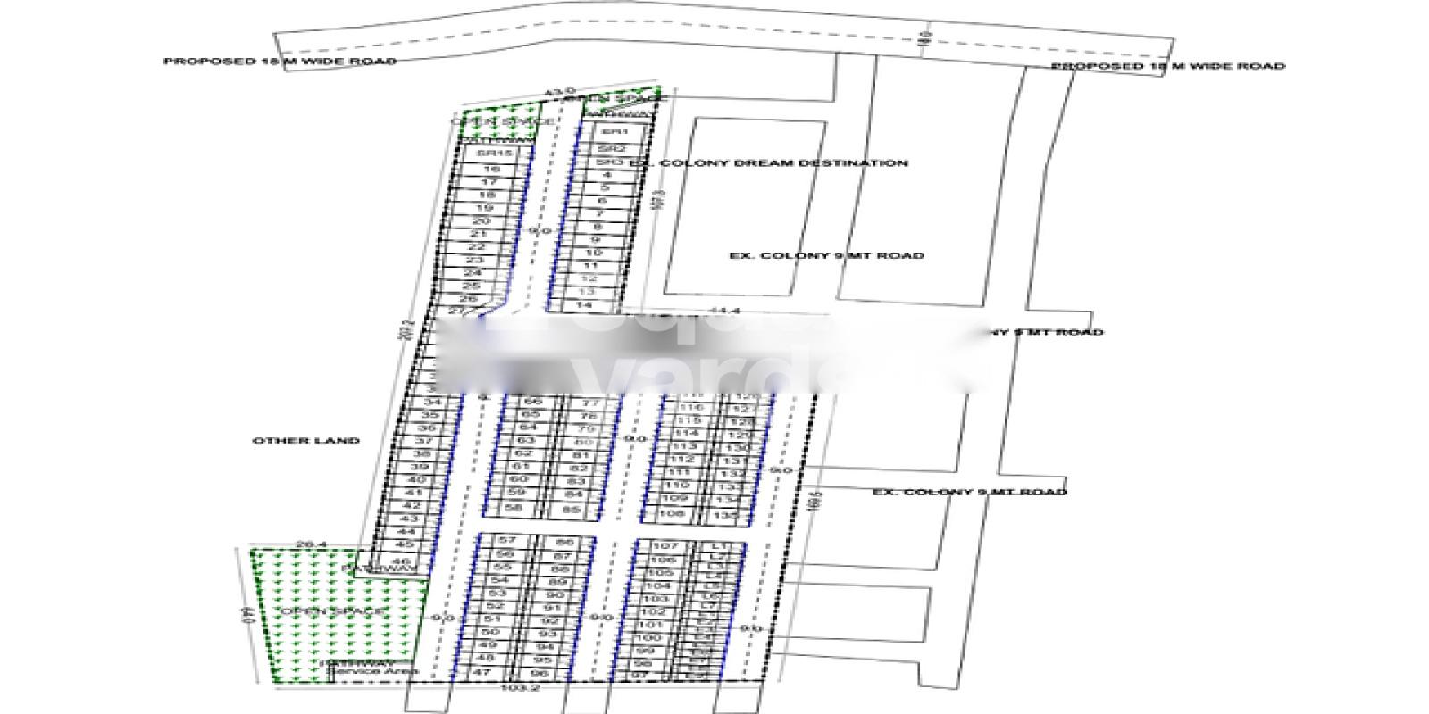
| Plot
                    
                  
                  
                    
                      1000 
                        Sq. Ft
                         
 | Price on Request | Check Availability | 
| Plot
                    
                  
                  
                    
                      1200 
                        Sq. Ft
                         
 | Price on Request | Check Availability | 
| Master Bedroom-Walls | Oil Bound Distemper | 
| Master Bedroom-Flooring | Vitrified Tiles | 
| Bathroom | Premium Bath Fittings | 
| Structure | RCC Frame Structure | 
Check Travel Time
Palakhedi holds the position in the city for overall livability.
This website is only for the purpose of providing information regarding real estate projects in different geographies. Any information which is being provided on this website is not an advertisement or a solicitation. The company has not verified the information and the compliances of the projects. Further, the company has not checked the RERA* registration status of the real estate projects listed herein. The company does not make any representation in regards to the compliances done against these projects. Please note that you should make yourself aware about the RERA* registration status of the listed real estate projects.
*Real Estate (regulation & development) act 2016. 
         
          
         
          