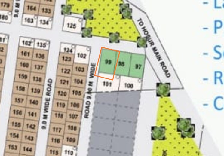
Hello, This is suresh Babu from Bangalore,Looking for a site for sale in caroling springs , Marsur village,Near Vakil wishperingwoods Do you have any clients who is looking for 40*60 site (it`s a corner plot, 77L ) Location :- . (from entrance 7th left -> last right-side corner plot) Plot no :- 99 Approval :- BMRDA approved. in total :- 2400 in Price :- 3200 /- (77L) Direction :- North and west Direction (corner Plot) years Old :- Register on 2014. Loans :- Applicable in Axis , LICHFL and other major Banks Legal report availability :- yes , from lawyer - selvamani. Kaatha avaialble :- yes E-Kaatha. property Tax status :- yes Paid UpToDate . Borewell Facility :- yes available Drainage Facility :- yes available. Houses Build :- yes , More than 50 Houses build in the society.
| Listing Type Sale | 
| Building Type Residential | 
| Property Type Plot | 
| City Bangalore | 
| Micro market South Bangalore | 
| Locality Chandapura | 
| Project Caroline Springs Plot | 
| Price 77 L | 
| Area 
                                            2400
                                             
                                              Sq. Ft.
                                               | 
| View Garden View | 
|  | 
|  | 
|  | 
|  | 
|  | 
|  | 
|  | 
| Schools Near by Chandapura | |
|---|---|
| V Blooms D World School | 0.72 KM | 
| Paloma P U College | 1.45 KM | 
| Spurthy College Of Science & Management Studies | 1.50 KM | 
| Spurthy Global School | 1.51 KM | 
| Green Dot International School | 1.55 KM | 
| M. Tres Primary & High School | 1.68 KM | 
| M Tres School | 1.69 KM | 
| Cmr International School | 2.07 KM | 
| National Public School(nps) | 2.15 KM | 
| New Baldwin International School Chandapura | 2.32 KM | 
| Bus Stops Near by Chandapura | |
|---|---|
| Ado Sonnahatti | 0.69 KM | 
| Marsuru | 1.11 KM | 
| Bandapura | 1.19 KM | 
| Marasur Madivala | 1.37 KM | 
| Hale Ooru | 1.43 KM | 
| Spurthy College | 1.55 KM | 
| Marsuru Gate | 1.55 KM | 
| Marasur Gate | 1.57 KM | 
| Marsoor Gate | 1.58 KM | 
| Naganayakanahali | 1.69 KM | 
| Hospitals Near by Chandapura | |
|---|---|
| Sri Sai Hospitals | 3.32 KM | 
| Best Hospital | 3.42 KM | 
| Aayush Hospital - Chandapura | 3.48 KM | 
| Advitha Pet Hospital - Chandapura | 3.49 KM | 
| Sunray Multispeciality Hospital | 3.51 KM | 
| Sri Chakra Hospital And Vaccination Centre | 3.70 KM | 
| Government Hospital Chandapura | 3.77 KM | 
| Mazumdar Shaw Medical Center | 4.51 KM | 
| Narayana Nethralaya | 4.54 KM | 
| Narayana Health City | 4.73 KM | 
| Clinics Near by Chandapura | |
|---|---|
| Sri Vinayaka Diagnostic Center | 1.37 KM | 
| Happy Lyfe Women's Health Clinic - Dr. Gayathri Meganathan | 1.53 KM | 
| Agilus Diagnostics - Anekal Road | 1.80 KM | 
| Med Lab Clinic ( Diabetic & Gynaecology Clinic) | 1.82 KM | 
| Kalyani Eye Clinic & Aykya Opticals .klyani Ai Klinik Aiyk Aptikls | 1.86 KM | 
| Dr. Shelly Jain (orthodontist) | 1.92 KM | 
| Swasthik Dental Clinic | 2.04 KM | 
| Ion Diagnostics | 2.28 KM | 
| Kottakkal Arya Vaidya Sala.chandapura | 2.57 KM | 
| Athreya Dental | 2.71 KM | 
| Temples Near by Chandapura | |
|---|---|
| Shree Vana Durga Temple | 1.08 KM | 
| Sri Bandi Mahakali Temple | 1.27 KM | 
| Yallamma Temple | 2.08 KM | 
| Sri Yallamma Temple | 2.20 KM | 
| Hosarayappa Temple | 2.41 KM | 
| Sri Prasanna Venkateshwara Temple | 2.44 KM | 
| Yallama Devi Temple | 2.56 KM | 
| Shiva Temple Sri Mallikarjuna Swamy Temple | 2.67 KM | 
| Shree Renuka Yellamma Devi Temple Avadadenahalli Village | 2.88 KM | 
| Shree Parshwa Susheel Dhaam Shwetamber Jain Temple - White Marble Temple | 2.91 KM | 
| Gym Fitness Near by Chandapura | |
|---|---|
| Vakil Club House | 1.24 KM | 
| Dancercise - Hiit+fitness Dance+ Zumba+yoga Classes And Dance Choreography (both Offline And Online) | 1.26 KM | 
| Cross Fit Gym | 1.64 KM | 
| The Body Factory Gym | 1.96 KM | 
| B R Brother's Gym | 2.19 KM | 
| Crossfit Gym | 2.26 KM | 
| Yoga Classes For Ladies And Kids | 2.51 KM | 
| Evolution Fitness Gym | 2.53 KM | 
| Golden Gym | 2.78 KM | 
| Mad Hustle Fitness Gym | 2.97 KM | 
| Supermarkets Near by Chandapura | |
|---|---|
| Vfamily Mart | 1.23 KM | 
| Sj Bazaar | 1.24 KM | 
| The Big Market Marsur | 1.81 KM | 
| Family Hyper Market | 2.60 KM | 
| Sree Lakshmi Venkateshwara Crackers (standard Crackers ) Wholesale Shop Hosur Main Road | 2.64 KM | 
| The Big Market-chandapura | 2.97 KM | 
| Reliance Smart Supermarket | 3.27 KM | 
| Bhavani Provision Stores | 4.09 KM | 
| Reliance Smart Point Store | 5.78 KM | 
| S.p Vegetables & Fruits | 5.85 KM | 
| College and Universities Near by Chandapura | |
|---|---|
| Jahan Institute Of Nursing Sciences | 0.76 KM | 
| Spurthy College Of Nursing | 1.51 KM | 
| Spurthy College Of Physiotherapy | 1.52 KM | 
| Jahan Institute Of Nursing Sciences | 2.30 KM | 
| Swamy Vivekananda Rural First Grade College | 3.48 KM | 
| Lorven College Of Science & Management | 3.72 KM | 
| Bangalore College Of Nursing | 4.57 KM | 
| Bangalore College Of Engineering And Technology | 4.63 KM | 
| Narayana Hrudayalaya Institute Of Physiotherapy | 4.65 KM | 
| Narayn Hrdyaly Nrsimg Kaleju | 4.66 KM | 
| Home Decors Near by Chandapura | |
|---|---|
| Springfit Mattress Retailer - Foam Tech | 1.64 KM | 
| Foam Tech-home Soft Home - The Biggest Custom Furniture Studio With Mfg Unit | 1.65 KM | 
| Foam Tech Enterprises | 2.67 KM | 
| Kajaria | 2.86 KM | 
| Prestige Xclusive - Chandapura | 2.93 KM | 
| Futur Decor Pvt. Ltd. | 3.01 KM | 
| Kajaria Exclusive Showroom On Hosur Road | 3.02 KM | 
| Kbros Aristo Factory - Bangalore | 4.87 KM | 
| Royaloak Furniture Attibele | 5.44 KM | 
| Shankara Buildpro - Bommasandra | 5.74 KM | 
| Churchs Near by Chandapura | |
|---|---|
| God's Glory Church | 1.40 KM | 
| Our Lady Of Light Church | 3.11 KM | 
| Church Of God Full Gospel In India Chandapura | 3.76 KM | 
| Divya Jyothi Ag Church | 4.08 KM | 
| Bethanya Prayer Garden Worship Center | 4.15 KM | 
| St. Joseph's Church - Adigondanahalli | 6.07 KM | 
| Christ In You | 6.08 KM | 
| United Pentecostal Fellowship Church | 6.84 KM | 
| Levi Glorious Church | 7.38 KM | 
| Nithyavachanam Bethel Church | 7.51 KM | 
 
           
               
         
         
         
        