A total of 1 residential transactions has been registered so far for Yula Globus Neo, amounting to ₹ 2 Cr till February 2026.

100% Service, 0% Brokerage
Highly unlikely, but if you find a lower price anywhere, tell us and we will match it.
Our sales personnel are accountable for every step
A total of 1 residential transactions has been registered so far for Yula Globus Neo, amounting to ₹ 2 Cr till February 2026.
Structural Works reach 16% completion
During Q4'2025, average property prices for Yula Globus Neo moved from ₹ 7,400/sqft to ₹ 9,950/sqft, reflecting a 34.46% rise.
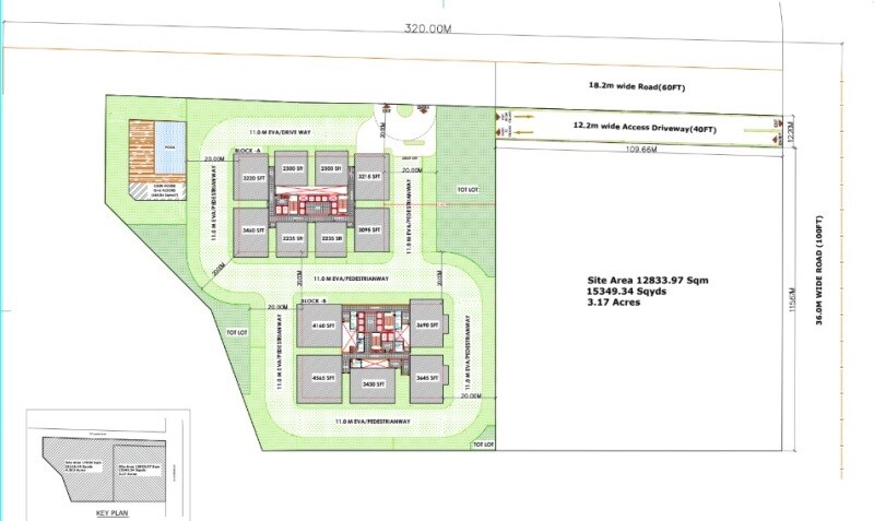
This project features a total land area of 12833.97 square meters, which is approximately 15349.34 square yards or 3.17 acres. The development consists of two distinct blocks, Block A and Block B, housing a total of 14 units.
The master plan designates areas for residential use with two main blocks. Significant portions are allocated to green open spaces, identified as 'TOT LOT,' providing recreational areas. Internal circulation is managed through clearly defined EVA/Driveways and Pedestrian ways. With 14 units across 3.17 acres, the density is approximately 4.4 units per acre.
| Master Bedroom-Walls | Acrylic Emulsion |
| Master Bedroom-Flooring | Vitrified Tiles |
| Other Bedrooms-Flooring | Vitrified Tiles |
| Walls | Acrylic Emulsion |
| Living Area-Flooring | Vitrified Tiles |
| Structure | RCC Frame Structure |
| Schools Near by Yula Globus Neo | |
|---|---|
| Phoenix Greens International School | 4.05 KM |
| Birla Open Minds International School | 4.72 KM |
| Birla Open Mind International School | 4.72 KM |
| Open Minds A Birla School | 4.75 KM |
| Upper Primary School | 5.38 KM |
| Mandal Parishad Primary School | 5.90 KM |
| Sri Goutham High School | 6.11 KM |
| Zilla Parishad High School | 6.18 KM |
| Krishnaveni Talent School | 6.30 KM |
| Telangana Social Welfare Residential Magnet School Jrcollege | 6.31 KM |
| Hospitals Near by Yula Globus Neo | |
|---|---|
| Continental Hospitals | 3.93 KM |
| Continental Hospitals | 3.94 KM |
| Continental Hospitals | 3.94 KM |
| Continental Hospital | 3.99 KM |
| Dr K Jyothirmayi Md Psychiatrist And Therapist | 4.00 KM |
| Dr Mahidhar Valeti Best Bariatric Surgeon In Hyderabad Weight Loss Surgeon | 4.08 KM |
| Vicinity Clinics | 4.29 KM |
| Rishi Memorial Clinic | 5.23 KM |
| Medics Healthcare | 5.52 KM |
| Aaron Hospital | 6.27 KM |
| Hotels Near by Yula Globus Neo | |
|---|---|
| The Golkonda Resorts And Spa | 2.52 KM |
| Lemon Tree Hotel | 3.30 KM |
| Ellaa Hotel | 5.72 KM |
| Bhavani Restaurant And Bar | 7.15 KM |
| Imperial Suites Inn | 7.46 KM |
| Lime Boutique Suites | 7.79 KM |
| Treebo Trend J A Royal Suites | 7.94 KM |
| The Peerless Inn | 7.94 KM |
| Ss Calypso | 8.00 KM |
| Lemon Tree Premier | 8.65 KM |
| Shopping Malls Near by Yula Globus Neo | |
|---|---|
| Essen Presedential | 4.54 KM |
| Mn Capital Kokapet | 4.69 KM |
| Location Of Mixed Use Development By Ncc | 5.40 KM |
| Jai Veerabhadra Automobile | 6.13 KM |
| Shree Bharathi Excel Wears | 6.14 KM |
| Appa Complex | 6.44 KM |
| Saka Groups | 6.86 KM |
| Tablespace Technologies Pvt Ltd | 7.19 KM |
| Sangeeth Commercial Complex | 7.25 KM |
| Puppalaguda Market | 7.31 KM |
| Temples Near by Yula Globus Neo | |
|---|---|
| Sai Baba Temple | 2.84 KM |
| Gandi Maisamma Temple | 3.51 KM |
| Gandipete Gandimaisamma Temple | 3.52 KM |
| Sri Ranganatha Swamy Temple | 4.59 KM |
| Sri Anjaneya Swamy Temple | 4.74 KM |
| Sri Sri Sri Pochamma Temple | 5.03 KM |
| Hanuman Temple | 5.45 KM |
| Sri Veerabhadra Swamy Temple Machileshwar | 5.54 KM |
| Rakta Maisamma Temple | 5.76 KM |
| Sri Padmavathi Venkateshwara Temple | 6.70 KM |
| Banks Near by Yula Globus Neo | |
|---|---|
| Hdfc Bank | 2.68 KM |
| Axis Bank | 4.81 KM |
| Axis Bank Ltd | 5.49 KM |
| Canara Bank | 6.33 KM |
| Andhra Pradesh Grameena Vikas Bank | 6.61 KM |
| Kotad Mahindra Bank | 6.64 KM |
| Icici Bank Gachibowli | 6.64 KM |
| Icici Bank | 6.81 KM |
| Citi Bank | 6.85 KM |
| Citibank | 6.85 KM |
| Parks Near by Yula Globus Neo | |
|---|---|
| My Dream Park | 6.56 KM |
| Netaji Park | 6.83 KM |
| Netaji Park | 6.83 KM |
| Telecom Nagar Ghmc Park | 7.26 KM |
| Aphb Colony Park | 7.28 KM |
| Lic Employees Colony Park | 7.35 KM |
| Gulmohar Park | 7.42 KM |
| Sri Balaji Nagar Park | 7.82 KM |
| Kotla Vijayabashkar Reddy Botanical Garden | 8.09 KM |
| Nava Bharath Park | 8.11 KM |
| Colleges and Universities Near by Yula Globus Neo | |
|---|---|
| Institute Of Life Sciences | 6.30 KM |
| International Institute Of Information Technology | 6.57 KM |
| University Of Hyderabad | 6.59 KM |
| Hyderabad Central University | 6.83 KM |
| Hitech College Of Engineering And Technology | 7.45 KM |
| Narayana Junior College | 8.19 KM |
| Adam College Of Education | 9.18 KM |
| Government Junior College | 9.24 KM |
| Dr B R Ambedkar Open University | 10.00 KM |
| Narsee Monjee Institute Of Management Studies | 10.03 KM |
| Cinema Halls Near by Yula Globus Neo | |
|---|---|
| Sridevi Cinema Hall 70mm Ac | 3.61 KM |
| Svc Cinemas | 4.13 KM |
| Amb Cinemas Sarath City Capital Mall | 8.41 KM |
| Bhel Ic Open Air Theatre | 9.55 KM |
| Pvr Icon Hyderabad Next Galleria Mall | 9.64 KM |
| Geetha Theatre | 9.66 KM |
| Hitech Theatre | 9.83 KM |
| Srilatha And Sridevi Theatres | 10.05 KM |
| Cine Townn | 11.00 KM |
| Cine Town Theatre | 11.02 KM |
| Mosques Near by Yula Globus Neo | |
|---|---|
| Masjid E Azeema Begum | 2.88 KM |
| Masjid E Jalal | 3.72 KM |
| Masjid E Mustafa | 6.52 KM |
| Jama Masjid | 6.77 KM |
| Masjid E Rahmat | 6.91 KM |
| Moti Masjid | 8.56 KM |
| Masjid E Jamali | 9.00 KM |
| Tara Nagar Masjid | 9.09 KM |
| Masjid Bilal | 9.35 KM |
| Madina Masjid | 9.77 KM |
Check Travel Time
Connecting Roads - Yula Globus Neo
Located in the Ranga Reddy district in Telangana, it is now emerging into a residential and commercial hub. Kokapet is a Neopolis and is classified under Kokapet SEZ (Special Economic Zone). No wonder this locality is an expensive one. Even the Telangana Government has organised e-auctions at profitable rates. Brief Description Due to the recent infrastructure development, Kokapet has experienced booming real estate. The last decade has seen very high growth in
This website is only for the purpose of providing information regarding real estate projects in different geographies. Any information which is being provided on this website is not an advertisement or a solicitation. The company has not verified the information and the compliances of the projects. Further, the company has not checked the RERA* registration status of the real estate projects listed herein. The company does not make any representation in regards to the compliances done against these projects. Please note that you should make yourself aware about the RERA* registration status of the listed real estate projects.
*Real Estate (regulation & development) act 2016.